Es gibt mehrere Methoden für die Therapie einer Patellaluxation.
Die Patellaluxation wird in 4 Garde eingeteilt:
Grad 1
Die Kniescheibe sitzt an ihrer physiologischen Position und kann manuell verlagert werden. Sie springt ohne Manipulation wieder an ihre physiologische Position zurück. Für diese Patient ist eine Physiotherapie sehr gut da diese den Oberschenkelmuskel stärkt und somit eine Luxation/Verschieben der Kniescheibe verhindert.
Grad 2
Die Kniescheibe befindet sich in ihrer physiologischen Position und kann manuell verlagert werden. In diesem Fall kann sie ohne Manipulation nicht wieder in ihre physiologische Position zurückkehren. Die Luxation fällt den Besitzern/-innen schon öfters auf, da der Patient/-in beim Gehen öfters das Bein anhebet und/oder einen Wechselschritt macht.
Grad 3
Die Kniescheibe ist dauerhaft und kann nur schwer in die physiologische Position gebracht werden. Wenn man den Druck auf die Kniescheiben nachlässt, springt sie sofort wieder heraus. Die Kniescheibe läuft in der Bewegung seitlich des Sulcus/Rinne.
Bei Patellaluxationen 2. und 3. Grades sollte ein chirurgischer Eingriff erfolgen und eine Kniegelenksarthrose und damit verbundene Scherzen zu vermeiden.
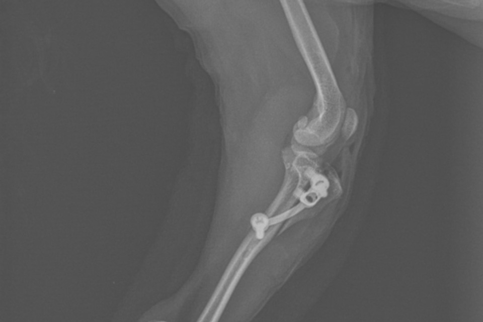
Die Operation besteht aus 3 Teiloperationen, die unbedingt kombiniert werden müssen, um einen dauerhaften Erfolg zu versprechen. In Einzelfällen muss ein Teilschritt nach korrigiert werden.
Der erste Teil besteht darin den Sulcus/Furche in der die Kniescheibe läuft zu vertiefen. Hierfür wird ein Keil aus den Sulcus gesägt, verkleinert und wieder eingesetzt (Sulcoplastik).
Im zweiten Teil wird die Tub. Tibiae versetzt und fixiert, um den Ansatzpunkts des gerade Kniescheibenbands und somit den Halt der Kniescheibe in seiner Führungsrinne zu verbessern (Tuberositastransposition). Methode mit Pins oder SPP-System.
Im dritten Akt wird die Faszie gestrafft und vernäht (Gelenkkapselraffung oder Fasziendoppelung).
Grad 4
Die Kniescheibe ist luxiert und kann nicht mehr reponiert werden. Diese Patienten/-innen leiden an Lahmheiten und Schmerzen. Oft hat sich eine Kniegelenksarthrose gebildet.
Hierbei muss eine Umstellungsosteotomie erfolgen. Das bedeutet eine Korrektur der Knochen von Ober- und Unterschenkel.
Patienten in diesem Stadium können nicht mehr geheilt werden, es geht um Schmerzreduktion und eine Verbesserung des Gangbildes.





